
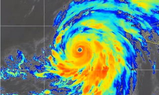
Hurricane Hilary strengthened to Category 4 early Friday and is expected to weaken as it barrels toward the US state of California....

Former US President Donald Trump in a surprise move cancelled a scheduled news conference and said his lawyers would submit "irrefutable claims to deny the indictments"...

As the death toll from the Hawaii wildfires is still on the rise, the debate has got heated around whether sirens could have made a difference against the deadliest fires in modern US history....
Mumbai, India The vibrant new livery design and emblem are both a part of a significant upgrade of Air India. Air India's $400 million logo change! Part of transformation ...

Upset Hindus are urging Winston-Salem (North Carolina)...

A man jumped 750 feet to his death from the roof of a five-star hotel in New York City, police said....

South Korean President Yoon Suk Yeol has arrived in Washington to attend a trilateral summit on Friday with his US counterpart Joe Biden and ...

Former US President Donald Trump has proposed to a federal judge overseeing special counsel Jack Smith’s...

Billionaire entrepreneur Elon Musk on Friday praised Indian-American Republican presidential candidate Vivek Ramaswamy, calling him a "promising candidate". ...

Residents of Yellowknife, who waited in hours-long queues to board evacuations flights, ...