America
Category 4 hurricane expected to weaken as it barrels toward California
Houston, Aug 19
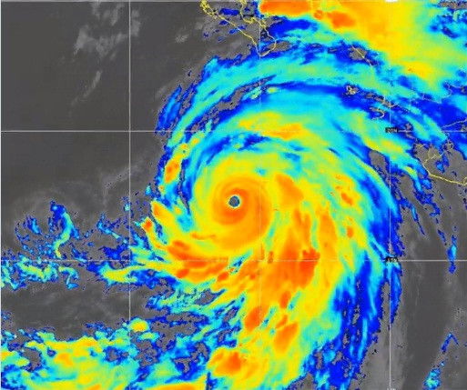
Hurricane Hilary strengthened to Category 4 early Friday and is expected to weaken as it barrels toward the US state of California.
The US National Weather Service tweeted that the storm would "lead to significant impacts" to the southwestern US this weekend into early next week, with rainfall totals of 3 to 6 inches and isolated amounts of up to 10 inches for parts of southern California and southern Nevada.
Within 24 hours, Hilary has rapidly intensified from a 70 mph tropical storm to a "large and powerful" 140 mph Category 4 hurricane as of early Friday, Xinhua news agency reported, citing the National Hurricane Center.
The storm is forecast to begin weakening on Saturday as it encounters cooler water temperatures and then become a tropical storm by Sunday as it approaches the US.
Weekend flood watches have been issued across southern California, stretching from San Diego to Los Angeles. The National Weather Service in Los Angeles has also warned of the potential for dangerously high surf, rip currents and coastal flooding.
